Как действует?

Использование препарата увеличивает урожайность на 30%. Ионы микроэлемента медленно передвигаются в растениях, поэтому могут вызывать ожоги зелени, молодых корней и стеблей.
Если регулярно удобрять почву, то улучшается качество обедненных дерново-подзолистых грунтов. Борная кислота нейтрализует негативное воздействие извести, а также высокой концентрации карбонатов. Препарат часто используют в теплицах для ликвидации последствий мероприятий по обеззараживанию почвы щелочью.
Вещество не переходит из старых листьев в новые, поэтому средство надо вносить регулярно. Микроэлемент ускоряет биохимические процессы, насыщает посадки питательными компонентами.
Обработанные раствором клубни картофеля не поражает парша, а у капусты после опрыскивания не формируются пустые кочаны. У баклажанов, перцев не мельчают плоды, а у огурцов не появляется на кожице желтая кайма. Если перед посадкой замочить семена лука, то легко предупредить болезни.
Не всем культурам одинаково полезна борная кислота.
По степени необходимости препарата для растений они подразделяются на три группы:
- Капуста, семечковые садовые деревья, свекла. Им нужны частые и регулярные внесения в течение вегетации – в начале бутонизации, после опадения лепестков и во время формирования плодов.
- Овощи, косточковые деревья, ягодные кусты. Достаточно двух применений за сезон.
- Картофель, бобовые культуры, земляника, травы. Для этих культур обработки проводятся только при появлении симптомов дефицита, на участках с высокой концентрацией извести.
Как применять борную кислоту для завязей у томатов — пропорции
Томаты очень хорошо отзываются на подкормку борной кислотой. Всего проводят 3 подкормки.
- Первую подкормку проводят перед цветением, когда бутоны уже сформировались, но еще не раскрылись. Разводят 1 г порошка на 10 л воды.
- Следующее опрыскивание проводят для лучшего завязывания завязей и ее проводят, когда растение уже начинает цвести, но не ранее, чем через 10 дней после первой обработки в той же концентрации.
- В самом начале фазы плодоношения проводится третья подкормка. Ее лучше провести смесью, в которую входят древесная зола, борная кислота и йода. Сначала в 5 л кипятка разводят 1,5-2 л просеянной золы, настаивают сутки. Затем зольный настой процеживают через марлю, добавляют 10 г порошка, перемешивают. И под конец добавляют пузырек йода, размешивают. Для приготовления рабочего раствора 1 л полученного раствора разбавляют в ведре воды и поливают под куст. Расход – 1 л на каждый куст.

Чего не хватает растению?
Выше были описаны общие варианты подкормки. Но есть и более специфические — когда у растения есть нехватка какого-то конкретного элемента — и её необходимо компенсировать. Хотя можно попробовать определить эту нехватку при помощи лабораторных исследований, куда проще сделать это по визуальным признакам, по изменениям, которые происходят с растением. Рассмотрим основные из них:
- Листья начинают развиваться особо асимметрично — недостаток цинка.
- Жилки и черешки листьев начинают краснеть — недостаток фосфора.
- Листовые пластины заметно бледнеют — недостаток магния.
- Листья желтеют, начинается хлороз — недостаток железа.
- Края листьев приобретают характерный бурый оттенок — недостаток калия.
- На листьях появляется характерный мраморный рисунок, ягоды становятся меньше, цветки осыпаются — недостаток бора.
- Нижние листья начинают становиться меньше — недостаток азота.
Польза и вред использования борной кислоты
Являясь одним из важнейших элементов в жизни любого растения, бор и его соединения способствует синтезу азотистых соединений, увеличивает содержание хлорофилла в листве, положительно влияет на обменные процессы. Борную кислоту чаще всего применяют при проращивании новых семян, для защиты сада от болезней, в борьбе с семьями муравьев на участке, с целью повысить урожайность.
Единственным негативным последствием использования борной кислоты садоводом может оказаться накопление вещества в плодах из-за чрезмерного удобрения почв, различные ожоги нижних и старых листьев, изменение их первоначальной формы и изгиба пластины
По этой причине необходимо пристальное внимание уделить составу используемых удобрений и минеральных подкормок, состоянию обработанных растений
Как определить чего не хватает винограду
Лабораторный анализ почвы поможет точно определить, в чем нуждается растение. Но если нет такой возможности, можно получить верные ответы, оценивая внешний вид куста.
Проблемы с виноградом при нехватке железа
- нехватка азота: мельчание нижних листьев, бледный зеленый оттенок;
- недостаток бора: осыпание цвета, мельчание ягод, мраморный рисунок на листьях;
- не хватает калия: края листьев становятся бурыми, начинается некроз;
- нехватка железа: пожелтение листьев, хлороз;
- дефицит магния: бледность листовых пластин;
- недостаток фосфора: черешки листьев и жилки краснеют;
- дефицит цинка: асимметрия листьев.
При выявлении проблем с растением, или заболевания, вызванного недостатком веществ, подкормки вносятся сверх указанных норм, но в пределах рекомендаций данных производителем.
Для каких домашних цветов применять?
Удобрение подходит для подкормки любых комнатных растений. Главное, вовремя распознать дефицит микроэлемента.
Используйте для обработки:
- Цикламена (Амбрелла, Лулу, Рококо, Аврора, Виктория, Альбум, Зеленый лед, Сильвер).
- Орхидей (Ванда, Мильтония, Камбрия, Каттлея, Фаленопсис, Онцидиум, Венерин башмачок, Брассия).
- Бегоний (Королевская, Металлика, Бауэра, Мэсона).
- Пеларгоний (Оранжевая, Айс роуз, Ирида, Мини Диана).
- Гибискусов (Коппер Кинг, Крендберри краш, Олд Йелла).
- Антуриумов (Джоли пинк, Зизу, Лилли, Семпер, Рэд).
- Комнатных роз (Кордана, Прима балерина, Бигуди, Колибри, Бэби маскарад).
- Каланхоэ (Пламенное, Каландива, Дегремона, Блоссфельда).
- Фиалок (Земфира, Спутник, Улыбка Остина, Мелоди Кими).
- Фикусов (Бенджамина, Старлайт, Наташа).
Внекорневые подкормки винограда до и после цветения
На ряду с почвенными подкормками, можно проводить и внекорневые. Такая подпитка растений имеет несомненные плюсы:
- питательные вещества впитываются через листья за считанные минуты, и растения получают максимальный эффект от подкормки;
- отсутствует реакция с грунтом, вследствие которой может происходить замен одних компонентов другими;
- впитываемость веществ через листья в разы эффективнее, чем через почву;
- положительный эффект достигается в кратчайшие сроки после обработки.
Внекорневая подкормка винограда выполняется ближе к вечеру
Главное условие проведения внекорневых подкормок винограда — ясная погода. Стоит выбрать солнечный день и послеобеденное время, когда лучи солнца уже не так активны.
Первая внекорневая подкормка
Проводят за несколько дней до цветения винограда. 5 г борной кислоты следует растворить в 10 л воды, и опрыскать растения. Процедуру можно совместить с обработкой фунгицидами. Также для удобрения в этот период дополнительно используют азотную подкормку по инструкции.
Вторая обработка винограда
Спустя 7 дней после цветения растениям необходим фосфор. Обработку следует повторить через 2 недели. Фосфорсодержащие удобрения помогут кустам формировать гроздья и наращивать вегетативную массу.
Внесение удобрений перед сбором урожая
Для последней, подпитывающей подкормки используют суперфосфатные удобрения и калий. Эти компоненты подготовят лозу к состоянию покоя.
Удобрение огурцов борной кислотой
Подкормка огурцов и помидоров борной кислотой. Чаще всего используется опрыскивание огурцов во время образования на них бутонов. Например, в тот период, когда формируются завязи.
Раствор приготовляется следующим образом. Одну чайную ложку борной кислоты следует развести в небольшом количестве подогретой жидкости. Лишь после этого необходимо добавлять большое количество воды – около 2 литров. После того, как раствор остынет, его можно применять для обработки.
Применять лекарство можно также и в тех ситуациях, когда происходит пересадка растений из парника в теплицу. В таких случаях огурцы не очень хорошо развиваются, слишком медленно растут и долго адаптируются к новым условиям окружающей среды. Борная кислота существенно помогает от подобных проблем.
Раствор с борной кислотой хорошо справляется и с незначительной опыляемостью. Это необходимо прежде всего в случаях выращивания сортов в открытом грунте. Для приготовления лекарства следует использовать следующие ингредиенты:
- борная кислота – 2 чайные ложечки;
- теплая вода – 5 литров;
- сахар – 0,3 килограмма.
Раствор обязательно следует хорошо размешать. После чего его можно использовать для обработки огурцов. Для этого необходимо применять опрыскиватель, который имеет функцию создания тумана.
По отзывам опытных овощеводов, раствор борной кислоты, особенно в комбинации с прочими фунгицидами, – это не только ценная внекорневая подкормка, стимулирующая органы плодоношения огурцов и прочих представителей тыквенного семейства. Но и способ эффективной защиты посадок от болезней.
Опрыскивание посадок несколько раз за сезон – профилактика пероноспороза, прикорневой и серой гнили, мозаики, белой гнили, мучнистой росы, бактериоза и увеличение урожайности огурцов в среднем на 20%.
Хорошо зарекомендовала себя обработка грядок по ботве и стеблям следующим составом: развести в литре горячей воды до полного растворения столовую ложку белых кристаллов борной кислоты, вылить жидкость в 9 литров воды, добавить щепотку перманганата калия до получения раствора слабо-розового цвета, ввести в смесь 40 капель спиртовой йодной настойки (аптечной).

Бор для винограда
Виноградная лоза может нуждаться в подкормке наравне с другими садовыми культурами. Распознать недостаток вещества виноградарь может по появлению белых пятен между прожилками листа, отсутствию нормальных завязей. Борное «голодание» может стать причиной гибели молодого саженца в течение первого года с момента высадки его на постоянное место.
Для предотвращения гибели молодых виноградников применяется обработка куста борным раствором в сочетании с солью цинка. Компоненты смешиваются в пропорции соответствующей 5 гр. бора и 5 гр. цинковой соли на 10 л. воды. Указанный метод обработки не только способствует росту и правильному развитию растения, но и гарантирует длительный качественный рост, большой урожай, крупные плоды.

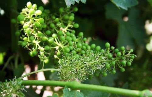
Слабая завязь винограда — признак нехватки бора
Первая борная подкормка
Для проведения внекорневой подкормки самым удачным периодом считают время от цветения винограда до образования полноценных завязей. Когда на молодой зеленой лозе уже появилось по 3-4 листочка, виноградари проводят сеанс опрыскивания с использованием следующих компонентов:
- Борная кислота (20 грамм)
- Сахар (3 ст. ложки)
- Мочевина (25 грамм)
- Гумат калия (40 мл.)
- Кемира Люкс (20 грамм)
- Лимонная кислота (30 грамм)
- Новосил (60 капель)
- Железный купорос (10 грамм)
Для правильного приготовления раствора каждое из веществ необходимо растворить или развести в небольшом количестве теплой воды, затем перемешать полученные растворы между собой, и разбавить водой до получения общего объема 10 литров. Подготовленную жидкость использовать необходимо в течение полутора часов с момента приготовления.

Новосил применяется для первой внекорневой подкормки
Вторая борная подкормка
Следующая внекорневая обработка виноградника проводится в период вызревания ягод. Состав для приготовления раствора отличается от первого некоторыми компонентами, но совершенно идентичен в механизме растворения, смешивания и использования.
Для составления внекорневой подкормки вам потребуется:
- Борная кислота (20 грамм)
- Йод (3,5 грамм)
- Тиовит Джет (20 грамм)
- Кемира Люкс (20 грамм)
- Гумат калия (60 мл.)
- Сахар (3 ст. ложки)
- Сода пищевая (75 грамм)
- Новосил (90 капель)
- Марганцевокислый калий (2 грамма)

Кемира Люкс добавляется во вторую подкормку
Подкормка садовой клубники
Нехватку бора у садовой клубники или земляники можно заметить по искривлённым краям листьев. Если её подкормить, то можно существенно увеличить количество урожая и его вкус. В начале весны кустики ягоды желательно полить раствором бора с добавлением калия. При этом обязательно нужно соблюсти пропорции: грамм калия и грамм бора на 10 литров воды. Такого количества раствора хватит примерно на 30 кустиков. Также большую пользу принесёт внекорневая подпитка раствора 5 грамм бора на 10 литров воды.
А перед тем, как растение пустит бутоны цветов, следует провести подкормку. Для этого разведите раствор из 2 граммов бора, 2 граммов марганца на 10 литров воды. В раствор можно добавить стакан золы.
Борная кислота для растений на огороде и в саду — польза и инструкция
Вещество положительно воздействует на растения, помогает лучше усваивать азот, что в свою очередь увеличивает урожайность на 30%. Культурные растения приобретают устойчивость к засухе и заморозкам.
Состав на основе бора благотворно влияет на культуры:
- Увеличивает количество завязавшихся плодов;
- Способствует быстрому росту и развитию молодых побегов.
Для опытных огородников не составляет труда определить дефицит того или иного вещества. При недостатке бора листочки становятся пожелтевшими. Такой признак характерен и при недостаточном поступлении азота.
Чтобы выяснить, какого элемента не хватает растению, необходимо внимательно осмотреть листочки. Если процесс затронул верхние листики, то это свидетельствует о недостатке бора, а если нижние, то азота.
Приготовление состава
Воду следует использовать горячую, так как вещество практически не растворяется в холодной воде. Чтобы не нагревать емкость объемом 10 л, необходимо прибегнуть к следующей хитрости.
Нужное количество вещества развести в 1 литре горячей воды. Температура воды должна быть 70-80 градусов.
В готовый “маточный” состав долить воды, таким образом, чтобы в итоге стало 10 л.
Пакетики с веществом выпускаются по 10 г. В чайной ложке находится пол порции 5 г. Необходимо аккуратно работать с веществом, использовать только ту ложку, которая не предназначена для еды. После работ промыть все используемые приборы.
Подкормка борной кислотой базируется на трех важных правилах:
- Все работы производятся в вечернее время;
- На улице должна быть теплая пасмурная погода;
- Для обработки выбирается мелкодисперсный распылитель.
Опрыскивание проводить до того момента, пока на листьях и на веточках не появились капельки росы. Не рекомендуется допускать стекание каплей.
Если необходим срочный полив растения для его восстановления, то берут лейку с раствором и поливают под самый корень, не попадая на листочки. Такие мероприятия подходят для картофеля и клубники.
Не допустимо применять вещество в чистом виде, чтобы не обжечь культуру или не рассеять микроэлементы на поверхности грунта.
Как правильно опрыскивать растения борной кислотой
Бор в садоводстве используется для ускорения роста овощных культур и повышения всхожести. Рекомендуется поместить семена в мешок из марли перед посадкой и замочить в растворе борной кислоты на 2 дня из расчета 0,2 г на 1 л горячей воды.
Пошаговая инструкция
Время опрыскивания зависит от особенностей возбудителей болезней, характера заболевания, фазы развития растения и погодных условий. На 1 м2 используют 1 л раствора.
Порядок действий:
- Прежде чем опрыскать растения раствором борной кислоты убедитесь, что он не токсичен.
- Опрыскивайте растения на расстоянии 20 см, плавно перемещая пульверизатор.
- В процессе опрыскивания следите за однородностью раствора, периодически его помешивая
- Убедитесь в том, что раствор равномерно охватил всю площадь — ствол, листву и плоды.
Меры предосторожности
При приготовлении раствора важно соблюдать правила безопасности:
- не проводите процедуру приготовления раствора и опрыскивания без резиновых перчаток;
- опрыскивайте растения из пульверизатора;
- растение может погибнуть от переохлаждения, поэтому следите за тем, чтобы температура воды не была ниже 20-24°С;
- нельзя опрыскивать растения под прямыми солнечными лучами, так как вода может быстро обжечь листву растения;
- не опрыскивайте растения в период цветения.
Частота и обильность обработки
Первое опрыскивание производится в момент образования бутонов. Второе опрыскивание выполняется в фазе максимального цветения растений
Важно, чтобы в этот период опрыскивание было необильным. Третье опрыскивание совершается в момент массового плодоношения
Если концентрация борной кислоты слишком высокая (больше 10 мг на 1 л), то раствор может нанести вред растению. Это связано с тем, что поглощение бора растениями не контролируется.
Применение борной кислоты для винограда
Этой культуре нужно много питательных веществ перед цветением, во время завязывания и перед созреванием плодов. Поэтому он требует подкормки, как и остальные культуры, ведь виноградный куст употребляет много веществ для формирования цветков. Недостаток бора может даже вызвать гибель молодого винограда. Для этого садовники обрабатывают борный раствор с цинковой солью. Элементы раствора необходимо смешать таким образом: 5 граммов бора и 5 граммов соли цинка на 10 литров воды.

Недостаток бора может даже вызвать гибель молодого винограда
Такой простой рецепт помогает винограду правильно развиваться и давать крупные сладкие плоды. Не забудьте, что кислота разводится исключительно в горячей воде. Поэтому растворите ее в 1 литре горячей воды, а после добавляйте необходимый объем воды любой температуры.
Как спасти положение при передозировке
Во всем должна быть, и это касается использования бора в качестве материала для подкормки.
Как проявляется перенасыщение борной кислотой:
- На почве лежат листья почти высохшие с ожогами на них;
- Листва скручена внутрь, цвет желтый, края подсохшие;
- Резкий спад количества урожая.
Большое количество бора при подкормке может значительно навредить. Итогом станет то, что листва осыпется и начнет разносить инфекцию по грунту. Не менее сильно страдает сам виноградник.
Интересный факт, что бор, если попадает на кожу человека, не причиняет никакой опасности. Вещество классифицируют показателем четвертого класса опасности. Но тем не менее, вещество может попадать в организм, и плохо влиять на здоровье.
Полезные советы от садоводов
Чтобы без проблем можно было избавиться от ос, нужно прислушаться к рекомендациям опытных садоводов.
На что обратить внимание:
- осенью или ранней весной уничтожить все гнезда – лучшая своевременная защита виноградника;
- для рыспыления лучше использовать пульверизатор;
- уксусный раствор можно использовать на любом этапе вегетационного периода;
- с наступлением лета лучшей приманкой станет белковая пища, с созреванием плодов – сладкие фрукты.
Если не помог выбранный метод, не нужно отчаиваться. Чтобы преодолеть вредителя стоит опробовать все выбранные способы до получения желаемого результата. И тогда наградой станет щедрый урожай без поврежденных осами ягод.
Предыдущая
ВиноградСорт винограда Изабелла — описание и особенности выращивания
Следующая
ВиноградОбработка винограда от болезней в летний и осенний период
Общие рекомендации по применению
Как растворить борную кислоту в воде? Нагреть небольшое количество жидкости до 70°C и добавить гранулы. Далее довести раствор до нужной пропорции холодной водой.
Как проводить листовую подкормку борной кислотой:
- Работы с веществом проводить при отсутствии дождя;
- Использовать средства индивидуальной защиты во время контакта с химикатом;
- Раствор хранить не более суток.
При несоблюдении доз внесения удобрений возможна передозировка. Например, если после двух обработок этим элементом лист продолжает желтеть и усыхать — не нужно третий раз вносить ударную дозу химиката. Находите причины данного явления. Это может быть дефицит железа, азота или погрешности в уходе.
Избыток бора проявляется на взрослых нижних листьях. На них появляются рыжие пятна, которые постепенно увеличиваются в размере. Со временем ткани листьев отмирают.

При передозировке плоды созреют быстро, но храниться не будут
Опыт применение на участке янтарной, салициловой и борной кислот в плодовом саду
Янтарная кислота играет роль сильнейшего иммуностимулятора, участвует процессе образования хлорофилла, ускоряя метаболизм растения, влияя на качество процесса фотосинтеза и на многие другие важные процессы. Растение становится более сильным, устойчивым к негативному воздействию, развивается быстрее и лучше.
Также оно способно давать более крупный, качественный и несколько ранний урожай относительно контрольных растений. Большие преимущества дает увеличение выработки хлорофилла, особенно при недостатке света (например, в теплице, где свет проходит хуже и растение компенсирует его недостаток увеличением листовой пластины).

Благодаря действию янтарной кислоты лист потемнел, в нем повысилось содержание хлорофилла.
В итоге лоза успела вызреть, удалось получить хороший урожай.
Применение салициловой кислоты в саду
Повышение уровня салициловой кислоты может как уменьшить ростовые процессы, так и усилить их. Малое содержание этого вещества негативно сказывается на иммунитете растений. Так, меньшее содержание салициловой кислоты часто наблюдается именно у слабоустойчивых к болезням сортов одного вида (по сравнению с другими сортами этого же вида).
Салициловая кислота также участвует в закладывании цветочных почек, вызревании (одревеснении) однолетних побегов и т. д.
Применение борной кислоты в саду
Борная кислота – недорогой источник бора, легко усваиваемый растением. Бор необходим при плодообразовании, закладке цветочных почек, а его недостаток негативно сказывается на объеме урожая. Бор играет значимую роль в иммунных процессах. Например, эффективность салициловой кислоты в иммунных процессах повышается многократно при достаточно высоком его содержании. Суворова Екатерина Евгеньевна в своей диссертации «Физиолого-биохимические особенности влияния бора и салициловой кислоты на рост, развитие и устойчивость роз в условиях защищенного грунта» доказала, что достигла уникальных результатов с розами, повысив их стойкость к заболеваниям.
Таким комплексом обработки проводятся по той же схеме, как и витаминами группы B. Растворы чередуются и не смешиваются, поскольку в этом случае эффективность витаминов снижается. Так, при разовой обработке двумя комплексами с интервалом в несколько часов удалось практически оживить саженцы винограда, зеленая часть которых скорее напоминала веревки. Сначала саженцы были обработаны витаминами (в виде и подкормки по листу и полива под корень), а через 3–4 часа была проведена внекорневая подкормка комплексом янтарной, салициловой и борной кислот. Утром я обнаружил 3 растения абсолютно не пострадавшими, а 4-е, необработанное, но политое и опрысканное водой, так и осталось «веревкой».
|
Дозировка кислот на 1 л воды: Янтарная кислота 200 мг (1 г / 5 л) Салициловая кислота 200 мг (1 г / 5 л) Борная кислота 2 г (10 г / 5 л) |
В итоге, благодаря использованию витаминов группы B, борной, салициловой и янтарной кислот, удалось:
- сократить поражение болезнями винограда;
- уменьшить пятнистость на розах;
- уменьшить пятнистость на садовой землянике (клубнике);
- уменьшить поражение паршой яблонь;
- снизить заболевания на бахчевых культурах;
- на огурцах уменьшить поражение болезнями и продлить период плодоношения;
- снизить поражение томатов фитофторозом, отодвинуть сроки начала поражения на 5–7 дней, сохранив урожай.

Оценка потребности винограда в боре
Подобное влияние на развитие и урожайность виноградной лозы объясняется непосредственным участием бора в делении молодых клеток и формировании клеточных структур. Благодаря этому процессу нормально функционируют точки роста на побегах растений.
Кроме того, бор отвечает за усвоение кальция. Он делает клеточные стенки прочнее, а растение в целом – устойчивей к факторам среды. Немаловажна роль бора в синтезе фитогормонов, отвечающих за образование цветков, завязей и нормальное плодоношение. Наибольшая потребность в данном микроэлементе наблюдается у винограда в фазах активного роста и образования соцветий. Именно поэтому борные подкормки лозы принято производить в начале вегетативного сезона.
Частые ошибки
Провести опыление винограда борной кислотой не так сложно, если соблюдать пропорции, сроки и другие правила. Но на практике начинающие и даже опытные садоводы нередко допускают ошибки, которые могут отрицательно сказаться на развитии растения. Наиболее распространены такие неточности:
- Не следует думать, что чем больше бора, тем лучше. Если листья растения начинают скручиваться внутрь, усыхают, а на поверхности появляются своеобразные ожоги, то подкормки с применением кислоты нужно немедленно прекратить.
- Во время распыления капли должны иметь минимальный размер. Распылитель следует настроить на мелкодисперсный режим.
- Распыление проводят равномерно по единой схеме, чтобы не запутаться (например, двигаться только сверху вниз). Необходимо охватить все листья, чтобы не осталось пропущенных мест.
- Наряду с внекорневой подкормкой бор можно давать и традиционным способом – поливом под корень. В этом случае применяют буру – натриевую соль борной кислоты (тетраборат натрия). Для приготовления раствора берут 10 г порошка и растворяют в 10 л воды. Соответственно количество борной кислоты во время внекорневой обработки нужно сократить.
- Обработать виноград борной кислотой в теплице можно теми же составами. Если укрытие достаточно надежное, работать можно даже во время дождливой, ветреной погоды. Если опрыскивание проводят в жару, делать это лучше вечером. Причем теплицу нужно часто проветривать, открывая дверь и форточки.
Борная кислота для комнатных растений
Если у домашнего цветка ухудшается состояние листвы при правильном уходе, это сигнализирует о недостатке важных веществ, в частности, бора. Его нехватка провоцирует прекращение роста корней, проявляется хлороз (пожелтение), верхушки побегов отмирают.
Листья становятся толстыми и легко ломаются при сгибании.У некоторых цветущих, например, у герани, листья приобретают не желтый, а беловатый окрас. Бутоны при дефиците бора могут быть недоразвитыми, мелкими.
Как действует препарат на комнатные цветы? Он стимулирует обильное длительное цветение и образование новых ростков и корешков у комнатных культур. Разводить порошок для внекорневой подкормки — 0,5г на литр жидкости.

Гранулы вещества также вносятся под корни горшечных цветов. Это можно делать во время пересадки культур. Не допускать прямого контакта гранул с корнями, так как можно обжечь их. Схема внесения сухого вещества — 1г на м. кв. Особенно нуждаются в этом элементе цветущие фиалки и пеларгонии.
Борная кислота: 4 способа использования в саду и на огороде
1 Стимуляция прорастания семян.
Раствор борной кислоты: 0,2 г борной кислоты на 1 л воды. Семена моркови, томата, лука, свеклы замачивают на 1 сутки; капусту, огурцы, кабачки – на 12 часов. При посеве большого количества семян их лучше опудрить порошкообразной смесью борной кислоты и талька.
2 Подготовка почвы к посеву и посадке.
Раствор борной кислоты: 0,2 г борной кислоты на 1 л воды. Перед посевом или высадкой рассады пролейте раствором посадочные гряды, расход 10 л на 10 м2, прорыхлите и только потом высейте семена. Этот способ используется как профилактика при подозрении на недостаток бора в почвах.
3 Внекорневая подкормка.
Раствор борной кислоты: 0,1 г борной кислоты на 1 л воды. Первое опрыскивание проводят в фазе бутонизации, второе – в фазе цветения, третье – в период плодоношения растений. При совместном внесении с другими микроэлементами концентрацию борной кислоты снижают до 0,05–0,06% (5–6 г препарата разводят в 10 л воды).
4 Подкормка под корень.
Раствор борной кислоты: 0,1–0,2 г борной кислоты на 1 л воды. Применяется только в случаях сильного голодания или точно известного недостатка бора в почве. Растения предварительно поливают обычной водой, чтобы избежать химического ожога корней. Обычно используют на рассаде цветочных растений, растущей на дерново-подзолистых почвах или в смеси торфа и песка.
Борная кислота легко растворяется только в горячей воде! Всегда сначала разводите навеску (пакетик) в 1 л горячей воды, затем доводите до нужного объема водой комнатной температуры. Внекорневые подкормки (опрыскивание) проводите в пасмурную погоду, а лучше под вечер, чтобы избежать солнечного ожога. В жаркие сухие дни предварительно хорошенько поливайте растения.
Признаки недостатка бора у растений
Бор – важный микроэлемент, необходимый для нормального развития растения. Он положительно влияет на обмен веществ, способствует выработке хлорофилла, помогает корням «дышать». Последствия борного голодания легко заметить в засушливую погоду
Чтобы выявить нехватку бора, осмотрите растение, уделяя особое внимание молодым частям
Растению срочно нужна обработка борной кислотой, если обнаружены следующие «тревожные сигналы»:
- хлоротические пятна на молодой листве, жилки листа желтеют;
- листья мельчают, скручиваются и опадают;
- верхушечные почки затормаживают рост, боковые, наоборот, усиливают;
- растение цветет слабо, плоды плохо завязываются;
- деформация плодов (уродливая форма);
- у семечковых культур наблюдается опробковение плодов;
- отмирание коры на побегах или целых верхушек.
Рост растения подавляется, и если вовремя не принять меры, можно лишиться урожая. Но и злоупотреблять удобрением не стоит: при излишке бора плоды растений хоть и созревают быстрее, но хуже хранятся, а листья рискуют получить ожог.
Обработка почвы виноградника
Борная кислота также потребуется при подготовке грунта для виноградного куста. Наряду с другими удобрениями и средствами, можно добавить состав борной кислоты. На участок площадью в 10 квадратных метров достаточно будет развести 2 грамма кислоты на 10 литров воды. Ее можно использовать не только в жидком состоянии, но и в сухом. Такое бывает, когда под виноградным кустом водятся муравьи. В таком случае кислоту следует просто посыпать на грунт. Хоть эти насекомые и не считаются вредителями, но могут добавить вам ненужных забот. Для полного уничтожения необходимо рассыпать средство прямо на их место обитания или у входа в муравейник, или полить вышеуказанным составом, но только с большим содержанием кислоты.

Борная кислота также потребуется при подготовке грунта для виноградного куста
Вообще, необходимо использовать борную кислоту в подкормках на дерново-подзолистых, серых и бурых лесных почвах. На черноземной почве его можно добавлять в меньших пропорциях. Если на вашем участке содержится большое количество карбонатов, то добавление этого микроудобрения будет крайне важным.
Для чего применяется борная кислота при выращивании томатов
Каждый, кто выращивал томаты, скорее всего наблюдал такую картину. Кусты стоят с обильной листвой, имеют толстый стебель, но плодов на таких совсем немного. Про такие садоводы говорят, что они «жируют». Да еще и те редкие цветки, что появляются, опадают. При этом завязь на них так и не успевает образоваться.
Также случается, что по непонятной причине желтеют и опадают листья. Формируется лишь первая кисть плодов, да и то частично. Последующие кисти имеют слабое цветение и на них в лучшем случае формируется по два-три плода. И вроде все делаешь правильно, но результат получается совсем не радостный. Невольно задаешься вопросом в такой ситуации – что же не так?

А все очень просто – растениям не хватает микроэлемента под названием бор. Дело в том, что он практически не накапливается в почве. А растениям он жизненно необходим и его потребление происходит весьма интенсивно. Поэтому если его не вносить специально, то взяться ему неоткуда.
Внекорневые подкормки или опрыскивания стимулируют рост корневой системы и листьев. Также подсчитано, что они дают увеличение урожая в среднем на 20%. Да и созревание плодов происходит как минимум на неделю раньше. При подкормке препаратом томаты становятся слаще. Он способствует транспортировке сахара по стеблю непосредственно в плоды.

Также овощеводы заметили, что подкормки делают растение более стойким к разного рода болезням. К ним относится фитофтора, различные грибковые поражения, мучнистая роса и пятнистость листьев. Средство приводит в норму синтез растительных веществ и его обменные процессы. Благодаря чему в наземной части куста повышается коэффициент хлорофилла, что улучшает его иммунитет.
Путем опрыскивания кислотой происходит и борьба с вредителями, что также является еще одним плюсом в использовании.
Зачем необходима борная кислота
Каждое растение может нуждаться в борной кислоте. При этом могут возникать различные симптомы, а при получении недостающего вещества растение отблагодарит своего спасителя тем или иным образом.
Неорганическое минеральное удобрение
При внекорневой подкормке возможно увеличить пышность цветения декоративных растений. Корнеплоды, различные кустовые овощи и фрукты можно избавить от возможных болезней, возникших на почве недостатка кислоты. Если же подкармливать бором ягоды, то можно получить лучший результат в количестве плодов.
Именно поэтому рассмотрим некоторые конкретные случаи растений, которые чаще всего нуждаются во внекорневой подкормке данной кислотой.
Вывод
Для подкормки всех культур применяется борная кислота: в саду и огороде, в теплицах и для горшечных культур дома. Бор — незаменимый материал для строения клеток. Он обеспечивает нормальный рост и плодоношение овощей и плодовых. Употребление борной кислоты для растений позволяет получить качественный и вкусный урожай.
Вам также будет интересно почитать:
Удобрение «Маг Бор»: состав, преимущества. Применение для томатов, огурцов и других культур
Гумат калия – что это такое, инструкция по применению, нормы для различных типов грунта
Калийные удобрения для томатов: календарь подкормок, какие лучше использовать
Хелат железа: здоровье зеленых растений




























