Вред и противопоказания
При частом употреблении винограда, а также продуктов виноградарства необходимо учитывать, что ягоды винограда не рекомендуется кушать при:
- ожирении;
- сахарном диабете;
- язвенной болезни (особенно в период обострения);
- хронических нагноительных процессах в лёгких;
- сердечной недостаточности, сопровождающейся выраженной гипертонией и отёками;
- усилении процессов брожения в кишечнике и колите, сопровождающимся поносом.
Довольно часто происходит сильное расстройство желудка, если сочетать виноград с:
- свежими или солеными огурцами;
- молоком;
- дыней;
- любой жирной пищей;
- рыбой;
- минеральными водами;
- пивом.
Стоит помнить о том, что когда виноград попадает на кариозные зубы, то он лишь усиливает их разрушение. Для сохранения зубов от порчи специалисты рекомендуют после каждого приема ягод винограда, в том числе изюма, тщательно прополоскать ротовую полость большим количеством раствора из воды и пищевой соды.
Особенности подкормок винограда в июне в зависимости от региона

Виноград является культурой, которая приспособлена к южным климатическим условиям. Чтобы вырастить его в другом климате, нужна регулярная, а главное правильная подкормка.
В Средней полосе России
Удобрения вносятся на протяжении всего периода роста и плодоношения. Используются средства, которые содержат магний, калий, фосфор. Применяют корневую подкормку и внекорневую.
При корневой подкормке удобрения обычно распределяют по почве и рыхлят. При внекорневой — опрыскивают листья раствором, который содержит в два раза меньше действующего вещества.
На Урале
Виноград даст хороший урожай только в плодородной почве. Для этого вносят как минеральные, так и органические подкормки.
Также используют корневой и внекорневой метод внесения удобрений. Подкармливают регулярно на протяжении всего периода вегетации, чередуя подкормки.
В Сибири
В сибирском районе нежелательно использовать подкормку, которая содержит много азота. Азот увеличит количество листьев, веток. Кустарник не сможет перезимовать, а затем погибнет.
Для хорошего плодоношения рекомендуют подкармливать виноград калийно-фосфорными средствами.
Южные регионы
Так как на юге нашей страны почвы плодородные, то количество подкормок в июне можно сократить до 1-2. Использовать при этом рекомендуется комплексные препараты. Такие, как Азофоска.
Сбор, упаковка и секреты хранения винограда
Созревание винограда состоит в увеличении сахаристости, снижениикислотности, улучшении окраски, структуры мякоти, вкуса, присущих определенному сорту.
Сбор урожая столовых сортов винограда начинают с наступления полной потребительскоой зрелости, близкой к физиологической.
Готовность их к уборке определяют по внешним вкусовым признакам и сахаристости, кислотности сока ягод.
Ягоды белых сортов винограда, созревая, становятся упругими, прозрачными, светлыми, кожица покрывается восковым налетом. Ягоды окрашен-ных сортов приобретают присущую им окраску: светло-розовую, темно-розовую, черную, фиолетовую, синюю и др.
Столовые сорта винограда ко времени сбора урожая накапливают сахара от 15 до 20 % и более при кислотности сока ягод 4–7 г/л.
Несколько иные требования предъявляют к техническим сортам:
●для приготовления виноградного сока используют технические сорта винограда сахаристостью 14–16 %, кислотностью 5–7 г/л;
●для столовых сухих вин используют технические сорта винограда с сахаристостью 18–19 %, кислотностью 7–8 г/л;●для десертных вин используют технические сорта винограда с сахаристостью 20–24 %, кислотностью 5–6 г/л;●для шампанских виноматериалов используют технические сорта винограда с сахаристостью 17–18 %, кислотностью 9–11 г/л.
Процесс созревания гроздей на кустах винограда по известным причинам не протекает одновременно. Раньше созревают грозди на нормально развитых побегах, ближе размещенных к почве и у основания стрел ки. Поэтому прихо-дится проводить выборочный сбор (одно-, двух- и даже трехкратный) по мере наступления необходимой сахаристости и кислотности ягод.
Сбор всех сортов винограда лучше производить в сухую солнечную погоду. Не следует собирать виноград со следами росы или дождя на ягодах. Если во время сбора начался дождь, сбор тут же прекращают на два-три дня до полного испарения влаги внутри гроздей.
Срезать грозди винограда необходимо секаторами и ножницами с тупыми концами. Во время срезания гроздь держат за ее ножку, чтобы не стереть части воскового налета с ягод, предохраняющего их от усыхания и гниения. Грозди, имею щие короткую ножку, при срезании поддерживают ладонью снизу. Перед укладкой в ящики или корзины с гроздей ножницами удаляют больные и усохшие ягоды. Емкость ящиков и корзин не должна превышать 8 кг. Внутренние стенки тары необходимо хорошо обкла дывать виноградными листьями или бумагой.
Время цветения винограда
В разных регионах страны приходится на разное время.
Но это происходит не раньше третьей декады мая.
Продолжительность зависит от того, к какому сорту принадлежит растение.
Ранее мы рассматривали зимостойкие сорта винограда.

В среднем составляет 3 недели.
Важно помнить, что процесс цветения этой культуры не является круглосуточным. Он начинается в 7 утра, а заканчивается в 11 часов
Позже может произойти цветение нескольких отдельных цветков.
Опыление цветков
На протяжении одной недели происходит их опыление. Этот период можно наблюдать.

При нем цветок светлеет, становится увлажненным.
Когда опыление заканчивается, он начинает постепенно подсыхать.
После этого происходит образование завязей.
Завязи винограда
При дождливой погоде не происходит сбрасывание венчиков.
Происходит самоопыление обоеполых сортов.
Женские же сорта опыляться не будут.
Даже если до начала цветения, а также в этот период погодные условия наблюдаются идеальные, лишь половина цветков оплодотворятся.
Другие же осыпаются с куста. Такое явление является отличительной особенностью винограда.
К сведению. Если же был дождь, то опыление произойдет лишь на 12-20%.
Очень важно, чтобы фотосинтез осуществлялся в полной мере. Ведь при этом с использованием энергии солнца образуются важные органические вещества
Если погода будет теплой, но солнца будет недостаточно, то фотосинтез будет происходить медленнее.

Особенности процесса
Цветение у этой культуры имеет следующие особенности:
- Минимум при 10°С происходит сбрасывание колпачков.
- Чтобы опыление было полноценным, необходима температура минимум 17°С.
- Продолжительность цветения может длиться от 8 суток. Это зависит от погодных условий и сорта.
- Если температура меньше 15°С, а также наблюдается повышенная влажность, то процесс замедляется.
- Рекомендуется не поливать растение за 10-12 дней до начала периода цветения. В противном случае повышается риск развития грибка.
- Цветки, а также завязи могут осыпаться при дожде.
Уход перед цветением
Необходимо правильно обрезать виноград и подвязать побеги, оставив только нужные. Это необходимо для того, чтобы завязи сформировались в оптимальном количестве.
За 10-15 дней до начала цветения виноград следует хорошо полить
Очень важно, чтобы все это время земля была достаточно влажной. Следующий полив винограда приходится на то время, когда цветки уже осыплются

капельный полив винограда
В весенний период происходит и девичьего винограда цветение, который используется на участках в декоративных целях.
Для улучшения опыления проводится обработка соцветий.
Для растения первое опыление является сложным. Поэтому растение обрезается.

На каждом побеге оставляют 1 соцветие.
Чтобы опыление прошло хорошо, важно, чтобы соцветия были открытыми. Для этого листву, расположенную около них, отодвигают. Обрывать листья нельзя.
В период цветения наблюдается очень активный рост побегов, которые отнимают питательные вещества. Поэтому верхушки побегов в это время следует прищипнуть.
Подкормка и обработка
Для винограда время цветения считается также подходящим периодом для обработки.
Чтобы обезопасить растение от поражения вредителями и заболеваниями, выполняется опрыскивание.

Такая обработка проводится примерно за 4 дня до цветения.
Кроме того, выполняют внекорневую подкормку винограда.
Ее проводят после того как с начала цветения пройдет около 5 дней.

Используются комплексные удобрения, содержащие калий, бор и азот.
После того как сформируются завязи, проводят еще одну обработку для профилактики заболеваний и поражения вредителями.
6 Август
Весь месяц длится рост и созревание основной массы плодов. Поспособствовать этому можно за счет очередного внесения фосфорно-калийных удобрений
Особенно важно это в жаркую засушливую погоду, когда растениям недостаточно влаги. На 10 литров разбавляют 5-10 грамм питательных элементов
Нежелательно подкармливать в этот период виноград азотом, поскольку это вызовет усиленное нарастание вегетативной массы. Это отрицательно скажется как на уровне и качестве урожая, так и на зимостойкости растения.

Серая гниль винограда
Особую опасность в августе представляет серая гниль. О появлении данного грибкового заболевания свидетельствуют серый налет и бурые отметины на зеленой листве и бесцветные пятна на стеблях. Борьба с ней чаще всего подразумевает использование марганцовки (5-6 грамм препарата разводится в 10 литрах воды). Оидиум, который также часто проявляется в конце лета, выражается в форме светлого налета на ягодах и листве. Растения с наличием гроздей опрыскивают коллоидной серой, а все остальные – «Флинт Старом», «Строби» и другими комплексными фунгицидами согласно инструкции по применению. В качестве альтернативы ядохимикатам допускается делать раствор из 1 кг золы и 10 литров воды, настаивать в течение трех дней, время от времени тщательно перемешивая его.
Ежегодные летние работы
Все лето виноградарь занимается «зелеными операциями». Обламывает побеги, прореживает листья, удаляет пасынки. Все эти процедуры необходимы для поддержания урожайности кустов, создания благоприятных условий для их развития. На протяжении всего сезона виноградник поливают, следят за чистотой почвы в междурядьях, удаляют в них сорную траву, рыхлят.
Июнь
Этот месяц очень важен в жизненном цикле винограда. В первой декаде проводят «сухую подвязку» − к шпалере крепят прошлогодние лозы. Проводят обломку слабых веток. Для лучшего опыления делают прищипку самых мощных побегов, удаляют точку роста (5-10 см). Работу проводят до начала массового цветения. В это же время кусты опрыскивают фунгицидом.
Отрастающие на 20 см побеги подвязывают к шпалере («зеленая подвязка»), удаляют пасынки. Сразу после цветения проводят внекорневую подкормку комплексным препаратом PLANTAFOL 30.10.10. Средство активирует рост побегов и листьев, на 10 литров достаточно 20 г порошка.
Справка!Нагрузка куста – это количество побегов и гроздей. Она должна соответствовать силе корневой системы.
В конце месяца занимаются прищипкой плодовых ростков у плодоносящих лоз. Их укорачивают после усиков, при этом оставляют не менее 5 листьев после 2 грозди. Чтобы ускорить созревание гроздей лозу прищипывают после достижения ей 2,5 м. Молодой побег замещения в росте не останавливают.
В июне необходимо контролировать нагрузку виноградных кустов, проводить нормировку урожая. В первую очередь грозди удалять на слабых, поврежденных побегах и на побегах сучков замещения. Когда ягоды становятся размером с крупную горошину, кусты опрыскивают Топазом. Фунгицид используют для профилактики оидиума.
Июль
Чтобы не допустить вспышки грибковых заболеваний, виноградник 2 раза в месяц обрабатывают препаратом Квадрис. Кусты опрыскивают с интервалом в 20 дней. В июле проводят корневую подкормку удобрениями, содержащими азот, фосфор, калий:
- Акварин;
- Новоферт;
- Плантафол.
Для подкормки молодых саженцев используют минеральные удобрения, на 10 л добавляют не более 25 г суперфосфата, мочевины, калийной селитры. Весь месяц удаляют пасынки, подвязывают побеги к шпалере.
Август
В начале августа созревают ультраранние и ранние сорта. Интенсивность работ на винограднике не снижается:
- проводят подвязку зеленых побегов;
- удаляют пасынки;
- занимаются профилактикой и лечением болезней;
- чеканят побеги;
- занимаются катаровкой;
- вносят фосфорно-калийные удобрения;
- занимаются сбором урожая.
Во второй половине месяца в побегах происходит естественное замедление ростовых процессов. Появляются симптомы, говорящие о том, что у растения наступил этап подготовки к зиме: коронка побега (точка роста) выпрямляется, начинается процесс вызревания лозы. Именно в этот период занимаются чеканкой.
Справка!Вынужденно чеканку можно проводить в июле, если необходимо отрегулировать количество зеленой массы или побеги переросли верхний уровень шпалеры.
В августе наблюдают, как идет вызревание лозы. Если процесс идет медленно, то верхний ярус листьев опрыскивают раствором монофосфата калия. Проводят обработку раз в неделю. В жаркую погоду растения приободряют с помощью мелкокапельного орошения по листовой поверхности. Поливы под корень заканчивают во второй декаде.
Чеканка побегов
Точные сроки чеканки зависят от сорта винограда и региона: в умеренном климате – август-сентябрь, в южных регионах – июль-август. Процедура сводится к удалению верхушек побегов, на которых листья недоразвиты.
Удаляют отрезок из 6-8 междоузлий. Процедуре подвергают только сильно развитые побеги, которые не будут использоваться в качестве отводок. Над последними гроздьями оставляют листья от 6 до 10 штук. Чеканку проводят в несколько заходов с интервалом в 3 дня. Ослабленный, перегруженный куст не чеканят.
Плюсы грамотной чеканки:
- созревание наступает быстрее;
- грозди и ягоды более крупные;
- улучшаются вкусовые характеристики;
- повышается плотность грозди;
- у лозы повышается иммунитет к милдью.
Защита от серой гнили
В августе на винограде могут появиться симптомы серой гнили. Листья покрываются бурыми пятнами и серым налетом. Лоза покрывается обесцвеченными пятнами. Заболевшие растения обрабатывают раствором марганцовки. В 10 л воды растворяют 7 г средства. Для профилактики грибковых болезней кусты в начале августа обрабатывают Квадрисом, опрыскивание проводят до 10 числа.
1 Март
В первые дни месяца в случае благоприятной погоды следует приступить к обрезке тех растений, которые не были укрыты на зиму. Основным требованием к данной процедуре является необходимость уложиться в сжатые сроки и завершить кронирование до того, как начнется процесс набухания почек. Если не успеть это сделать, то в ходе обрезки на стеблях проявится прозрачная жидкость, более известная в народе под названием «плач лозы». В таком состоянии побег рискует засохнуть и погибнуть. Чтобы обрезка в этом случае не завершилась трагически для растения, следует сразу же после удаления очередного стебля обработать место среза масляной краской, замешанной на натуральной олифе. Желательно, чтобы в состав ее входила борная кислота. В качестве альтернативы допускается использование готовых препаратов вроде «Искусственной коры».

Виноград весной
Рассматриваемый период является подходящим для обновления шпалер. Это можно сделать и потом, но весной и во все последующие месяцы виноградарь будет более загружен остальной работой.
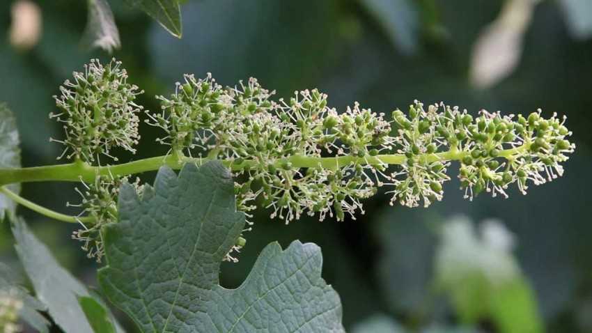
Строение виноградного цветка и его опыление
Цветы винограда имеют небольшой размер и растут на коротеньких веточках, собранных в гроздь ( метелку). Метелки быстро вытягиваются в длину за счет роста центральной веточки, на которую они собраны. Боковые ветвления сплошь покрыты бутонами цветов. Основная ось задает размер и форму будущей виноградной грозди.
Сколько всего дней цветет виноград? Развитие от бутона до цветка происходит примерно за 3 недели. В течении этого срока формируются все цветочные органы. Само же цветение одного цветка длится от 4 до 8 дней в зависимости от погоды и сорта растения.
В самом начале у растения образуются чашелистики. Внутри них начинают обозначаться зачатки органов цветка: тычинки и лепесточки. Постепенно из этих бугорков развиваются полноценные:
- тычиночные нити,
- пестик,
- лепестки.
Пестик состоит из столбца, рыльца и завязи.
Важно! Для разных сортов винограда характерна своя форма и размер цветочной грозди. В зависимости от формы и размера соцветия определяется конечные параметры виноградной кисти на этапе вызревания урожая
Для всех сортов винограда естественной является светло зеленая с желтым оттенком окраска цветочков.
Цветение у винограда происходит не так, как у остальных садовых культур. Лепестки образуют на цветке своеобразный колпачок (венчик), который растение сбрасывает перед началом опыления.

Образование венчика
У этой культуры существуют сорта, имеющие:
- два типа цветов, различаемые по мужскому и женскому типу;
- только женские цветы;
- цветы со стерильной пыльцой ( не способные к оплодотворению).
Некоторые виды дикого винограда имеют цветы только мужского типа. У сортовых представителей этой культуры таких отклонений нет.
Для нормального перекрестного опыления виноградники организуют по типу совместных грядок для нескольких сортов. На одном участке можно сочетать винный и столовый виноград. Располагая виноградные кусты в винограднике, нужно учитывать сроки цветения. В противном случае рано отцветающие винные сорта не смогут опылиться за счет столовых, которые зацветают на 2 недели позже.
Фото цветения винограда




































Также рекомендуем просмотреть:
- Обработка винограда
- Чем подкормить арбузы и дыни чтобы росли быстрее
- Как цветет гранат
- Как вырастить арбуз
- Как посадить ананас из верхушки
- Выращивание дыни
- Чем отличается клубника от земляники
- Как вырастить вишню из косточки
- Персики польза и вред для здоровья организма человека
- Дыня это ягода или фрукт
- Формирование винограда
- Посадка винограда
- Чем подкормить малину для большого урожая
- Уход за малиной
- Посадка малины
- Как растет хурма
- Борная кислота для винограда
- Как прищипывать арбузы
- Девичий виноград
- Формирование дыни
- Арбуз
- Выращивание винограда
- Когда созревает земляника
- Летняя обрезка винограда
- Как подвязать виноград правильно на шапалеру
- Как вырастить лимон из косточки в домашних условиях
- Полив винограда
- Как выглядит персик
- Чем полезны абрикосы
- Как вырастить манго из косточки в домашних условиях
- Уход за виноградом
- Шпалера для винограда
- Как часто поливать арбузы в открытом грунте
- Листья малины
- Косточки абрикоса польза и вред
- Как размножить виноград
- Шпалера для малины
Сорта для Ростовской области
В Ростовской области очень благоприятный климат, он подходит для выращивания лучших сортов винограда. Свет, влажность и тепло в этом регионе достаточно сбалансированы. Однако, чтобы не ошибиться при выборе сорта (укрывного или нет), следует учитывать определенное деление региона на две половины: ту, что над Каменском, и ту, что под ним. Сорта, не требующие укрытия, следует высаживать в южной части.
Сорта вишни для Ярославской области
Ростовская область очень популярна среди виноградарей, здесь выращивают самые разнообразные сорта, как винные, так и столовые. Сорта также очень популярны. Классифицировать лучшие сорта довольно сложно, ведь все сорта, выращиваемые в этом регионе, превосходны. Вина из донских сортов успешно конкурируют с французскими.
В заметке! Самый известный ростовский питомник заводчика Крайнова находится в городе Новочеркасск Ростовской области.
- Гибридная зона винограда (Ростов-на-Дону) Трансформация отличается очень устойчивыми к неблагоприятным внешним факторам побегами. Цветки растения обоеполые, высота куста средняя. Грозди средней плотности. Ягоды имеют овальную форму, они довольно крупные – около 31 мм. Насыщенный малиновый цвет. Мякоть сочная, очень мясистая, кожица не слишком тонкая. Вес грозди может достигать 2,6 кг. Этот сорт винограда устойчив к плесени и йоду. На зиму кусты необходимо укрывать. Время созревания – середина августа.
- Сорт Виктор отличается довольно крупными ягодами, до 26 мм в диаметре. Виноград созревает довольно долго, иногда августа не хватает для полного набора сахара. Хотя сорт относится к раннеспелым, время его окончательного созревания – первая половина сентября.
- Сорт винограда Багатьянский дает крупные ягоды массой до 50 г, ярко-зеленого цвета. Грозди очень массивные, иногда превышающие по весу 3 кг. Относится к крупноплодным сортам и созревает в первой декаде сентября.
- Сорт Маршальский отличается крупными овальными ягодами и созревает в конце августа. Масса ягод до 25 г. Вкусовые характеристики со временем меняются. С годами ягода приобретает все более насыщенный вкус.
- Сорт винограда Находка относится к мягкосеменным гибридам с розовыми ягодами, достигающими 30 мм в диаметре. Грозди довольно массивные, иногда достигают килограмма.
- Делайт Блэк — один из самых популярных сортов винограда. Масса гроздей иногда достигает 2,5 кг. Ягоды крупные, в форме овала или круга, вкус нормальный. Этот сорт ценится за устойчивость к неблагоприятным факторам и высокую урожайность. Чтобы опыление происходило максимально эффективно, на участке следует также посадить Делайт Лайт.
- Кодрянка – известный сорт. Масса грозди средняя, около 550 г, ягоды насыщенно-фиолетовые, массой не более 8 г, вкус у сорта очень насыщенный, мякоть плотная, семян мало. Вкусовые качества высоко оценены профессиональными дегустаторами.
- Сорт Молдова – относится к столу. Созревает поздно, поэтому в северных частях области не приживается и не дает хорошего урожая. Хорошо созревает на юге, ягоды с легким налетом, фиолетового цвета, вес одной грозди около килограмма. Сорт обладает высокой устойчивостью к филлоксере, что выгодно отличает его от других. Виноград Молдова хорошо переносит транспортировку и устойчив к грибковым заболеваниям.
К наиболее известным раннеспелым сортам винограда относятся: Восторг, Зорева, Жемчуг. Также популярен универсальный сорт винограда Дружба с желтоватыми плодами и нежным вкусом. Вегетация происходит в среднем в течение 115 дней.
Уход за виноградом в средней полосе России
Правильный уход и обрезка винограда летом в средней полосе является залогом обильного здорового урожая. От действий, выполняемых после посадки, зависит плодовитость и долголетие культуры.
Уход за грунтом
Ухаживать за растением необходимо сразу после посадки
Важно выполнять своевременный полив грунта. Для сохранения влаги поверхность рекомендуется мульчировать. Также проводят рыхление почвы и прополку сорняков
Это позволит предупредить развитие инфекционных заболеваний и доставит корням необходимое количество кислорода
Также проводят рыхление почвы и прополку сорняков. Это позволит предупредить развитие инфекционных заболеваний и доставит корням необходимое количество кислорода.
Обрезка винограда и формирование куста
Уход и обрезка винограда летом в средней полосе предназначены для удаления лишней зеленой массы, регулирования величины куста и качества плодов. Без выполнения процедуры на данной территории невозможно получить полноценный урожай. Сроки обрезки связаны с периодами развития куста:
- Обрезка винограда в июне в средней полосе подразумевает удаление лишней поросли и прищипывание плодоносной лозы. Процедура позволяет направлять силы растения на формирование завязи.
- Обрезка винограда в июле в средней полосе заключается в пасынковании и формировании куста. Проводится сразу после цветения. Если процедуру не выполнить, куст будет наращивать много зелени, а плоды станут мелкими и кислыми.
- Августовская обрезка предназначена для осветления куста посредством удаления нижнего ряда листьев и лишних отводок. Процедура позволяет ускорить созревание плодов и улучшить качество урожая.

Полив и внесение удобрений
Питательного состава, внесенного во время высадки черенка, достаточно для правильного роста и развития куста на протяжении двух лет. С третьего года можно начинать вносить подкормки. Для весеннего питания используют два вида составов:
- Смесь 10 г суперфосфата и 10 г сернокислого калия.
- Водный раствор смеси из 30 г суперфосфата, 15 г калийной соли, 25 г селитры (из расчета на 5 л жидкости).
Полив осуществляют в зависимости от погодных условий. Нормой считается увлажнение грунта раз в 10-12 дней из расчета 1-2 ведра воды на экземпляр. При засушливом сезоне полив увеличивают.
Защита растения от болезней и вредителей
Полноценный уход за виноградом должен обеспечить защиту растения от заболеваний и атаки вредителей. Кусты регулярно проверяют на наличие повреждений и признаков вредоносного соседства. Для профилактики их обрабатывают медным или железным купоросом. Процедуру проводят в июле до формирования завязи. Для защиты урожая используют препараты «Топаз», «Кумир», «Борей» и т.п. Если на растении присутствуют признаки гнили, проводят обработку «Хорусом» или «Эупареном».
Готовим виноград к зимовке
Посадка и уход за виноградом в средней полосе России — только первый этап правильного культивирования
Также важно обеспечить кустам безопасную зимовку, особенно это касается виноградников на территории Поволжья и Сибири. После снятия урожая лозы снимают с опор, укладывают на землю, накрывают опилками, лапником, высушенной травой или соломой. Также в качестве защиты используют агроволокно и рубероид
Также в качестве защиты используют агроволокно и рубероид.
Красивый здоровый сад всегда был предметом гордости. Вырастить плодоносный виноградник на территории средней полосы России не составит труда при соблюдении правил и рекомендаций. А правильный выбор сорта позволит минимизировать уход и возможные проблемы культивирования.
Циссус: виды и сорта
Род насчитывает более 350 разновидностей. К наиболее популярным комнатным растениям циссус относятся следующие представители:
- Циссус ромболистный (или циссус ромбический). Многолетняя лиана с тонкими и гибкими побегами.Листья ромбовидных форм располагаются поочередно на небольших черешках. Кистевидные соцветия формируются из маленьких цветочков зеленого окраса. После опыления в сезон созревания появляются съедобные ягодки красного цвета.
- Циссус антарктический (или циссус арктический). Вечнозеленая лиана с длинными побегами. Листья имеют яйцевидные или овальные формы, отличаются характерными зубцами по краям.Цвет – темно-зеленый – с лицевой стороны, чуть светлее с легкой опушенностью вдоль жилок – с обратной. Междоузлие содержит лист и, напротив расположенные, усики. Соцветие формируется из мелких цветков желто-зеленого цвета.
- Циссус четырехугольный. Представитель лекарственной растительности. Побеги отличаются оригинальной четырехгранной формой до 1-1,5 см в диаметре.Мелкие листья, разделенные на три доли, быстро опадают. Растение в любых условиях развивается достаточно медленно.
- Циссус Элен Даника. Популярный декоративный сорт ромболистного циссуса.Имеет яркие резные листья.
- Циссус разноцветный. Пользуется популярностью из-за оригинального окраса листьев. На лицевой стороне темно-зеленого цвета имеются серебристые и бордово-бурые отметины, тыльная поверхность – темно-розовая. В преддверие зимы растение сбрасывает большую часть кроны, с наступлением теплой поры года декоративная листва восстанавливается.
- Циссус круглолистный. Лиана с цепляющими стеблями.Листьям зеленого цвета характерны восковый налет и округлые формы с мелкими зубьями по краям.
- Циссус стриата (полосатый). Отличается самыми маленькими в роду трехдольчатыми или пятидольчатыми листьями.Стебли растения могут разрастаться на 10 м. Побегам характерен красноватый оттенок. Цветки светло-зеленого окраса, после их опыления созревают черные плоды.
Что такое катаровка и как ее выполнять
Катаровка означает удаление поверхностных (росистых) корней виноградной лозы, которые собирают росу. Давайте разберемся, нужно ли делать катаровку на своем винограднике, и выясним плюсы и минусы.
Опытные садоводы удаляют поверхностные корни по следующим причинам:
- За них часто цепляется филлоксера;
- Не переносят засуху.
- Если в конце лета, после сухой погоды, влажность резко повышается, то корни на поверхности, быстро собирают влажность,— это приведет к значительным трещинам на ягодках.
Однако специалисты считают, что проведение катаровки для винограда не всегда приносит пользу:
- Во-первых, удаление корней росы – всегда болезненное состояние и стресс для растения. После срезания поверхностных корней некоторые побеги могут свисать прямо у нас на глазах, так как именно ими они питались. Кроме того, при влажной и прохладной погоде проведение катаровки может способствовать развитию такого опасного заболевания, как рак винограда. Подробнее о виноградной медицине мы поговорим в следующих статьях.
- Во-вторых, на участках с сильно уплотненными почвами поверхностные корни винограда просто необходимы, особенно в местах с высоким уровнем грунтовых вод. Если уровень грунтовых вод поднимается слишком высоко, глубокие корни будут страдать от недостатка кислорода, и виноградная лоза выживет именно благодаря поверхностным корням, которые действуют как буфер, компенсирующий колебания уровня воды в почве.
Чтобы корни в сухую погоду не были обезвоженные, необходимо мульчировать почву под кустами. Мульча помогает улучшить структуру почвы и повысить плодородие. Мульчированная почва поглощает влагу из воздуха, а выводится в виде росы, а корни в свою очередь страдают, при обильных осадках, при этом наблюдается растрескивания ягод.
Катаровку виноградного растения можно вообще не делать или делать значительно реже, если подземный стволик будет в полиэтиленовом чехле, который легко одеть при посадке молодого неразветвленного саженца.
А как быть, если необходимо надеть чехол на уже растущие несколько лет растение? Очень удобным способом, и для этого случая в частности, является применение в качестве чехла полиэтиленовой трубки, разрезанной вдоль.
Подбирается труб требуемых длины (300-400 мм) и диаметра (2-3 диаметра стволика), разрезается по длине. Трубка одевается на стволик (на растущем растении выполняют катаровку, а затем надевают трубку), привязывают нижний конец трубки к стволу х/б шпагатом или тесьмой и производят посадку саженца или засыпают землей ямку вокруг растущего растения. Верхний конец трубки должен быть на 50-100 мм выше уровня почва.





























